Black River, Jamaica, was the first spot on the island to be electrified, back in 1893. After Hurricane Melissa tore through this week, much of the island is in the dark, and according to Prime Minister Andrew Holness, Black River has been “totally destroyed.”
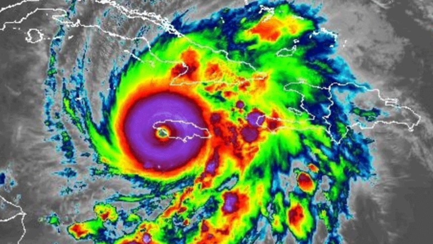
Jamaica felt the full wrath of Melissa, a storm that needed only 24 hours to intensify from a tropical storm to a Category 4 behemoth. By the time it made landfall only 10 or 12 miles from Black River in New Hope, it had grown even stronger: Category 5, 185 mph winds — or maybe even stronger — and a slow, meandering pace that let it lash its targets with that wind and rain for too long.
This has become a grim hallmark of a warming world.
This has become a grim hallmark of a warming world. Rapid intensification of hurricanes relies on conditions that in decades past were much more rare than they are today. A 2023 study found that the average maximum rate of intensification was almost 30% higher from 2001 to 2020 than it was between 1971 and 1990; the number of storms that leap from Category 1 to Category 3 or higher within 36 hours has “more than doubled” in that modern era compared to in the past. Since that study came out, we have witnessed, among other examples, Hurricane Milton’s wind speed jump 95 mph in a day.
The main culprit is heat. Abnormally warm waters — both at the surface and down below — helped Melissa gain strength, even as it took a leisurely path that in a normal world would likely lead its power to wane. That warmth is being added, year by year, via the greenhouse gases the world continues to emit. Saying so has become cliche at this point, but once again, it’s necessary to point out that the countries barely responsible for the emission of greenhouse gases are bearing the brunt of the consequences.
In 2023, excluding land-use changes, Jamaica emitted less than eight million tons of carbon dioxide. The U.S. emitted that much every 14 hours or so. In China, that number would be less than six hours. In a single year, the U.S. emits 10 times as much carbon dioxide as Jamaica has emitted ever, in total. And Haiti, where at least 23 people have died from Melissa’s impacts, emits half the carbon dioxide Jamaica does.
The other anomaly facing Jamaica and the rest of the region isn’t climatological, but governmental. The Trump administration has made some promising noises this week about providing aid as the damage becomes more clear, but it is doing so after nine months of attempts to kneecap a wide swath of government function and while, notably, the federal government remains shut down. Already, the difference in response to disasters rich countries’ emissions have helped fuel is plain: Only a year ago, the United States Agency for International Development, or USAID, sent staff and supplies to the Caribbean before Hurricane Beryl arrived on its tear through the region, along with coordinating the response once it had passed. This time, USAID is … gone.
While the relatively poor nations of the Caribbean will face down perpetually microwaved waters and the storms they produce from here on out, the U.S. itself is, of course, not immune from hurricanes. Though much of the related devastation the country has faced in recent years was due to the storms’ water rather than wind — recovery is still ongoing a year after Helene, for example — no place in the country would be safe from, essentially, an EF4 tornado blown out to hurricane size.








