Opinion

Morning Joe

RacheL Maddow

Deadline: White House

The weekend

Newsletters

Live TV

Featured Shows

the rachel maddow showMondays 9pm ET
Morning Joe WEEKDAYS 6AM ET
Deadline: White House with Nicolle Wallace Weekdays 4PM ET
The Beat with Ari Melber Weeknights 6PM ET
The weeknightmonday-friday 7pm et
All in with Chris Hayes TUESDAY-FRIDAY 8PM ET
The Briefing with Jen Psaki TUESDAY- FRIDAY 9PM ET
The Last Word with Lawrence O’Donnel Weeknights 10PM ET
The 11th Hour with Stephanie Ruhle Weeknights 11PM ET

More Shows

  • Way Too Early with Ali Vitali
  • The Weekend
  • Ana Cabrera Reports
  • Velshi
  • Chris Jansing Reports
  • Katy Tur Reports
  • Alex Witt Reports
  • PoliticsNation with Al Sharpton
  • The Weekend: Primetime

MS NOW Tv

Watch Live
Listen Live

More

  • MS NOW Live Events
  • MS NOW Columnists
  • TV Schedule
  • MS NOW Newsletters
  • Podcasts
  • Transcripts
  • MS NOW Insights Community
  • Help

Follow MS NOW

  • Facebook
  • Instagram
  • X
  • Mail

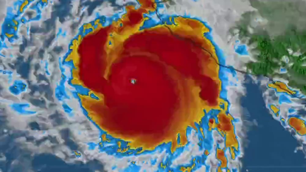
Hurricane Roslyn intensifies to Category 4, targeted to hit Mexican west coast

Share this –

  • Click to share on Facebook (Opens in new window) Facebook
  • Click to share on X (Opens in new window) X
  • Click to share on Mail (Opens in new window) Mail
  • Click to share on Print (Opens in new window) Print
  • Click to share on WhatsApp (Opens in new window)WhatsApp
  • Click to share on Reddit (Opens in new window)Reddit
  • Click to share on Pocket (Opens in new window)Pocket
  • Flipboard
  • Click to share on Pinterest (Opens in new window)Pinterest
  • Click to share on LinkedIn (Opens in new window)LinkedIn
Hurricane Roslyn intensifies to Category 4, targeted to hit Mexican west coast /

  • Share this –

MS NOW Highlights (Best of MS NOW)

Protected: U.S. Coast Guard in ‘active pursuit’ of third oil tanker in waters off Venezuela

Weekends with Alex Witt

Protected: U.S. Coast Guard in ‘active pursuit’ of third oil tanker in waters off Venezuela

Deflection & Name-Calling: Trump’s Attacks on Women Journalists

Ali Velshi

Deflection & Name-Calling: Trump’s Attacks on Women Journalists

The poverty line is a lie: how the rising cost of living is leaving many Americans behind

Ali Velshi

The poverty line is a lie: how the rising cost of living is leaving many Americans behind

‘It’s unnerving and it was predictable’: Epstein survivor reacts to partial release of Epstein files

The Weekend

‘It’s unnerving and it was predictable’: Epstein survivor reacts to partial release of Epstein files

‘Guardrails made of Jello’: Why President Trump keeps defying the law without penalty

The Weekend

‘Guardrails made of Jello’: Why President Trump keeps defying the law without penalty

Trump blames Democrats for economic woes in North Carolina speech  

11th Hour with Stephanie Ruhle

Trump blames Democrats for economic woes in North Carolina speech  

MS NOW
  • About
  • Contact
  • help
  • Careers
  • AD Choices
  • Privacy Policy
  • Your privacy choices
  • CA Notice
  • Terms of Service
  • MS NOW Sitemap
  • Closed Captioning
  • Advertise
  • Join the MS NOW insights Community

© 2025 Versant Media, LLC